Firefighter dies in California fire started by gender reveal gathering
Cal Fire Capt. Bennett Milloy also said that the death, the only one so far as a result of this El Dorado Fire, will also change the nature of the criminal investigation of the couple who hosted the gathering
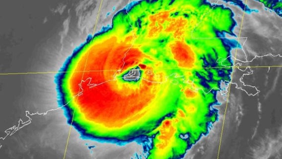
Sally unleashes flooding along Gulf Coast, hundreds rescued in Florida, Alabama
Hurricane Sally has lumbered ashore near Gulf Shores, Alabama, as a Category 2 storm, with top winds of 105 mph.
Puppy rescued from charred remains of home in California as wildfires burn through West Coast
Rescuers found a puppy sheltering within the charred remains on a property impacted by the Berry Creek fires.
Smoke from west coast wildfires arrives in Minnesota
If you’ve thought our sunshine seemed filtered, and our Minnesota sky hazy, you wouldn’t be wrong. Wildfires on the west coast are producing incredible amounts of smoke that has traveled all the way to our upper atmosphere.
Smoke from wildfires creates eerie baseball scene in California
A number of Northern California wildfires sent a thick, sometimes orange-glowing haze over the area Wednesday that left the Bay Area in an eerie darkness all day. The sun was blocked by the smoke.
Tropical Depression Laura still dangerous as it moves through Mid-Mississippi Valley; death toll climbs to 11
The remnants of Hurricane Laura are unleashing heavy rain hundreds of miles inland from a path of death and destruction left along the northwest Gulf Coast.
‘Houses that are totally gone’: 4 dead as Tropical Storm Laura exits Louisiana, leaving wake of destruction
One of the strongest hurricanes ever to strike the U.S. pounded the Gulf Coast with wind and rain early Thursday morning, but Laura rapidly weakened and was downgraded to a tropical storm by afternoon.
'Glass falling everywhere': Video, images show damage in the aftermath of Hurricane Laura
Laura pounded the Gulf Coast with heavy wind and torrential rain, unleashing a wall of seawater on cities in its path.
4 deaths caused by falling trees in Louisiana during Hurricane Laura
The governor of Louisiana says four people, including a 14-year-old girl and an 68-year-old man, were killed by falling trees as Hurricane Laura moved through the state.
Hurricane Laura moving inland over Louisiana after making landfall as Cat 4
Hurricane Laura made landfall and brings unsurvivable storm surge with large and destructive waves that will cause catastrophic damage from Sea Rim State Park, Texas, to Intracoastal City, Louisiana.
Ancient redwoods survive wildfire at California’s oldest state park
“But the forest is not gone,” Laura McLendon said. “It will regrow. Every old-growth redwood I’ve ever seen, in Big Basin and other parks, has fire scars on them. They’ve been through multiple fires, possibly worse than this.”
A cataclysmic eruption: Looking back at Mount St. Helens 40 years later
The eruption was the worst volcanic disaster in the history of the conterminous United States, according to the United States Geological Survey.
Tropical Storm Arthur hits North Carolina coast with rain
Tropical Storm Arthur brought heavy rain to North Carolina's coast on Monday as forecasters warned that the first named storm of the Atlantic hurricane season could also spread life-threatening surf and rip currents along U.S. East coast beaches in the days ahead.
Vegas-Reno highway cracked, closed after 6.5 earthquake in Nevada
The main highway between Las Vegas and Reno was damaged and closed early Friday following a magnitude 6.5 earthquake in a remote area of Nevada that a researcher called the largest quake in the state in 65 years.
Coronavirus-hit Mississippi, Louisiana, pounded by tornadoes, at least 17 dead in region
Mississippi and Louisiana—two states dealing with an increase of coronavirus cases—were hit Sunday with a deadly storm system that produced tornadoes that ripped through hundreds of homes and buildings, resulting in at least 17 deaths in the region.
Flooding on Minnesota River closes highway near Jordan
Flooding on the Minnesota River has closed Scott County Highway 9/Carver County Highway 11 near Jordan, Minnesota for the foreseeable future.
Earthquake in New York felt across region
The U.S. Geological Survey reported an earthquake in upstate New York Wednesday.
Taylor Swift donates $1 million to help victims of deadly Tennessee tornadoes
Taylor Swift is donating $1 million to disaster relief after devastating tornadoes ripped through Tennessee, killing 24 people.
Photos show ‘good humans and good deeds’ in the wake of the devastating Tennessee tornadoes
“A thread on good humans and good deeds of the Nashville #TennesseeTornadoes," tweeted Lauren Blanchard, who is a correspondent at FOX News.
24 dead, 38 still unaccounted for after tornadoes rip through central Tennessee
A tornado ripped through central Tennessee Tuesday morning and left 24 people dead. Thirty-eight people are still unaccounted for.



















